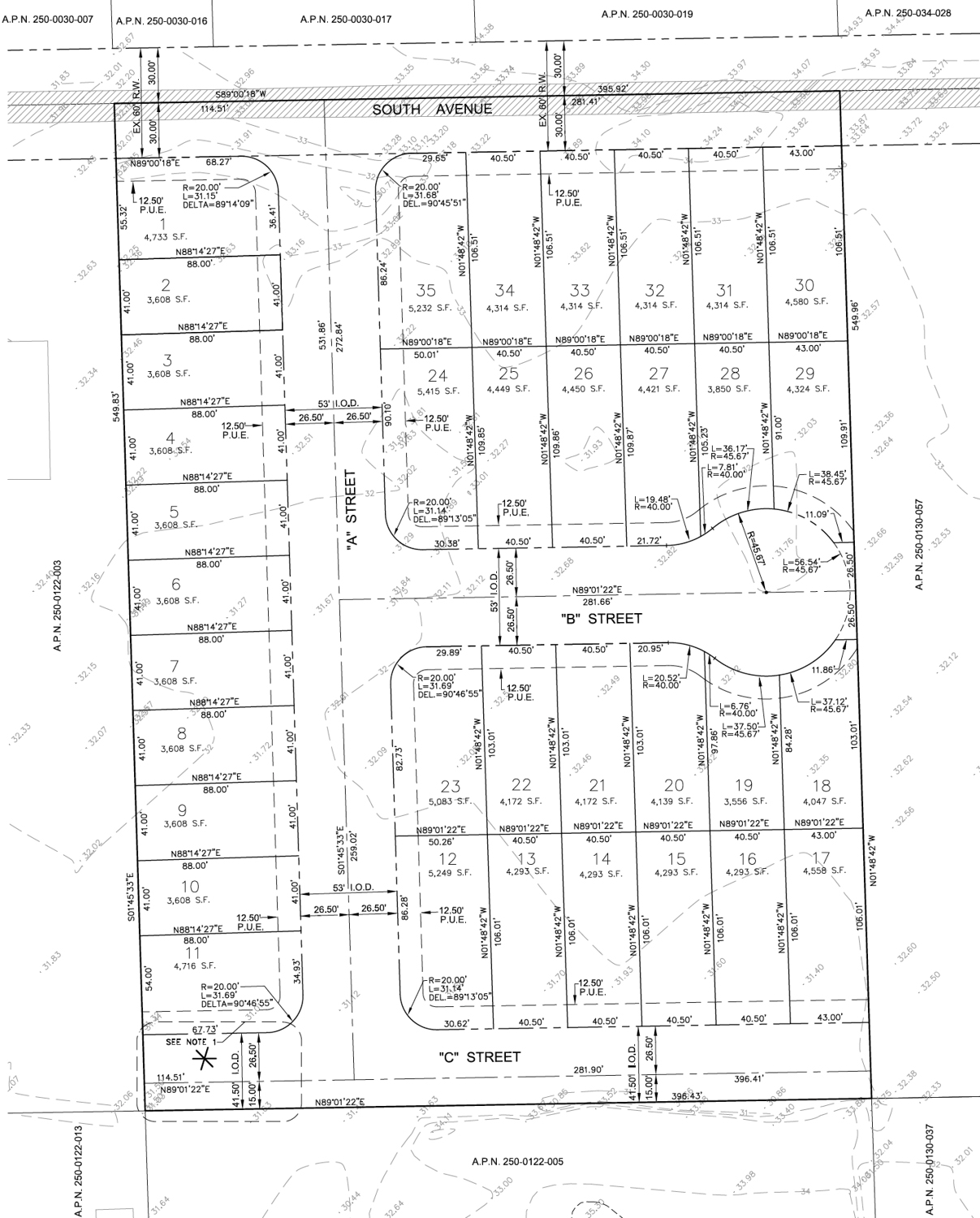
Subdivision permits have been filed for a single-family enclave at 80 South Avenue in North Sacramento. The approved project aims to build 35 homes on a five-acre property near Steelhead Creek and the grocery-anchored Natomas Gardens shopping center. West Sacramento-based Omar Pela is listed as the project developer.
Claybar Engineering is the planner and engineer. The approved project calls for the five-acre property to be subdivided into 35 separate parcels with an internal cul-de-sac. Specific details about the homes have not been published, with the application describing the project could include single-family and duplex homes.

80 South Avenue, illustration by Claybar Engineering
The property is located along South Avenue between Western Avenue and Norwood Avenue. Future residents will be in a low-density area surrounded by single-family homes and agricultural land. The Charles Robertson Park and community center will be around 15 minutes away on foot.
Public records show the property last sold in 2021 for just under half a million dollars. The estimated cost and timeline for construction have not yet been established.
Subscribe to YIMBY’s daily e-mail
![]()
Follow YIMBYgram for real-time photo updates
Like YIMBY on Facebook
Follow YIMBY’s Twitter for the latest in YIMBYnews






It’s nice, but that area of DPH should be developed similarly to the way Nuevo Paso was built. This piece meal type of home building for that area is meh.
It is funny how that little semi-rural area survived for so long…guess it’s because the lots are too small for tract development but too big for anything else. Ranchettes.
Sacramento be like “we’re not suburban enough”
LOL. So true.