Project plans have been published for a new townhouse development expected at 1400 De Haro Street on Potrero Hill, San Francisco. The project would replace a single-family house with five townhouse-style apartments and two accessory dwelling units. San Diego-based Jacob’s Real Estate Investments Inc. is responsible for the application.

1400 De Haro Street and 2203 25th Street site map, illustration by L.A. Paul & Associates

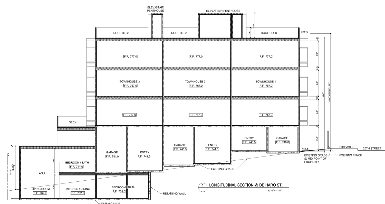
1400 De Haro Street cross-section, illustration by L.A. Paul & Associates
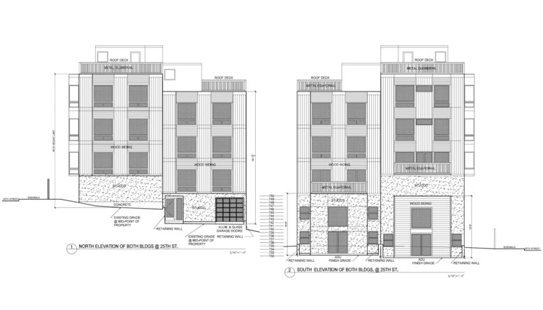
Construction will produce two three-story structures, each with basement parking and one accessory dwelling unit. The De Haro Street building will include three apartments with private garages and access to a rooftop deck. The 25th Street building will have two full apartments, each occupying one and a half floors. Six of the units will feature four bedrooms, and the De Haro Street ADU will have three bedrooms.
L.A. Paul & Associates is responsible for the design, and San Jose-based Aero Living Inc. is listed as the general contractor for the future construction. Minimal information has been included for the future design. Exterior materials include Hardie smooth cement board panels, stucco, and wood siding.

1400 De Haro Street, image via Google Street View
The roughly 5,000 square foot property is located at the corner of 25th Street and De Haro Street, a block away from the Potrero Block 2 affordable housing complex within the Potrero HOPE SF masterplan.
The estimated cost and timeline for construction have not yet been shared.
Subscribe to YIMBY’s daily e-mail
![]()
Follow YIMBYgram for real-time photo updates
Like YIMBY on Facebook
Follow YIMBY’s Twitter for the latest in YIMBYnews






I don’t get the interest in Potrero Hill. Yes, you might have views, and yes, the weather is better, but you’re surrounded by freeways and industrial areas if you want to go anywhere. Crossing 101 via a sketchy pedestrian bridge to get to the Mission…not great. Housing projects and Cesar Chavez industrial no man’s land to your south. Design District no man’s land to your north. Crossing 280 via sketchy pedestrian bridge to get to Mission Bay. Hard pass on Potrero.
That’s cool, to each their own. I’ve lived in Potrero Hill for 18 years. Love it for so many reasons.
Totally, to each their own. I’m happy you’re happy. Curious as to your take as to the pros and cons of Potrero given your years of experience?
Really? There are ZERO services for drug addicts and it’s clean and safe! Would love to leave the Mission Drug Fest and NGO grift for Petrero
I think this is a great project and the type of infill in areas of SF that still have room to grow and improve housing stock and values in the area. I just walked through that area on one of the roundabout hikes sponsored by a non-profit to help people look and appreciate areas like this. There will be people that move out here and some already have. And one of the key features IS the access to nearby freeways along with the weather. So those that automatically knock it because of the ‘neighborhood’, move on please.
No question, it’s a good project. We’re going from one unit up to seven. I’m making a slightly off-topic comment about Potrero from my personal point of view. I’m happy for the people who love Potrero, it’s just not for me.
I live in the 1890s Victorian on the corner across the street from this proposed project. I don’t understand how it’s OK to put a four story structure where everyone else on the corner has one to two stories. It’s going to make things very dark and ugly and crowded in what otherwise has been a very community oriented neighborhood. Also, I hope they’re careful with the demolition because there are lots of asbestos tiling in the two structures that are there currently. I think three stories would’ve been acceptable but four (according to the plans) is going to tower over the area like a sore thumb.
lol
On the same block, there are two 3-story buildings that will be the neighbors to this.
Just over 100′ away, there are SEVEN 4-story buildings ON THE SAME street.
Why aren’t those an issue?
Neighbor here that’s part owner of the 3 story building next door. That’s a ton of units crammed into a relatively small space. Not to mention the impact on parking and the streets are tight enough for through traffic as is. Our street is quiet for being in the middle of a city, I just don’t think it can support this new influx of residents